https://anlatilaninotesi.com.tr/20251029/kasirga-melissa-jamaikayi-yerle-bir-edip-kubaya-gecti-olu-sayisi-artiyor-1100581615.html
Melissa Kasırgası'nda son durum: Kategori 5'e yükseldi, ölü sayısı artıyor
Melissa Kasırgası'nda son durum: Kategori 5'e yükseldi, ölü sayısı artıyor
Sputnik Türkiye
Atlantik Okyanusu’nda son yılların en güçlü fırtınalarından biri olarak kayıtlara geçen Kasırga Melissa, Jamaika’da büyük yıkıma yol açtıktan sonra çarşamba sabahı Küba’ya ulaştı. Detaylar haberde...
2025-10-29T12:29+0300
2025-10-29T12:29+0300
2025-10-29T19:39+0300
dünya
melissa
kasırga
küba
jamaika
meteoroloji
miguel diaz-canel
atlantik
tropikal kasırga
abd ulusal kasırga merkezi
https://cdn.img.anlatilaninotesi.com.tr/img/07e9/0a/1d/1100580927_0:0:1920:1080_1920x0_80_0_0_e234757aa1f77f1598a716eed859eb58.jpg
Melissa, Atlantik’te kayıtlara geçen en güçlü kasırgalardan biri olarak Jamaika’yı vurdu, kamu altyapısına büyük zarar verdi ve adanın büyük bölümünü elektriksiz bıraktı. Bazı bölgelere ulaşılamadığı için yıkımın tam boyutu henüz netleşmiş değil.Yetkililer, Jamaika’yı harap ettikten sonra Küba üzerinde ilerlemeye devam eden Melissa Kasırgası’nın yol açtığı sel ve toprak kaymalarında Haiti’de 10'u çocuk olmak üzere en az 25 kişinin yaşamını yitirdiğini belirtti, Jamaika’da fırtına hazırlıkları sırasında üç kişi, Dominik Cumhuriyeti’nde ise bir kişi hayatını kaybetti.Hızı saatte 295 kilometreye kadar çıkan ve şiddetinin, en tehlikeli seviye anlamına gelen ve 5. Kategori'ye yükseldiği belirtilen Melissa Kasırgası, Haiti, Jamaika ve Küba’da etkili olmaya devam ediyor.Küba’da durumKüba’da ise hala etkisini sürdüren şiddetli yağış ve rüzgarlar, geniş çaplı su baskınlarına ve binalarda hasara yol açtı. Yüz binlerce kişi yerinden olurken, Küba’da şu ana kadar Melissa’ya bağlı herhangi bir ölüm vakası kamuoyuna bildirilmedi.Küba Devlet Başkanı Miguel Diaz-Canel, kasırganın ülkenin doğu kıyısına ulaşmasından önce 735 binden fazla kişinin güvenli bölgelere tahliye edildiğini açıklamış“Küba için çok zor bir gece olacak ama toparlanacağız” demişti.Jamaika felaket bölgesi ilan edildiMelissa, Küba’ya ulaşmadan önce Jamaika’yı vurmuş, ülke genelinde yüzbinlerce kişiyi elektriksiz bırakmıştı. Başbakan Andrew Holness, salı günü yaptığı açıklamada ülkeyi ‘felaket bölgesi’ ilan etti.Holness, “Hastaneler, evler ve iş yerleri büyük hasar gördü. Kurtarma ve onarım çalışmalarına hemen başlayacağız” dedi.Yaklaşık 500 bin kişi elektriksiz kalırken, ülke genelinde 15 bine yakın kişi acilen sığınaklara gitti. İnternet bağlantısı da ülke genelinde normalin yalnızca yüzde 30’una kadar düştü.Yaklaşık 25 bin turistin hala Jamaika’da olduğu bildirildi. ABD Başkanı Donald Trump, Asya turu sırasında yaptığı açıklamada, Washington’un yardım için hazır olduğunu belirterek, “Durumu yakından izliyoruz ve harekete geçmeye hazırız, ancak hasar gerçekten büyük” dedi.Bahamalar’da tahliyeler başladıKasırga şu anda Küba’nın kuzeydoğusundan ilerleyerek Bahamalar’a doğru yöneliyor. Ülkenin Afet Risk Yönetim Otoritesi, Acklins ve Crooked Island dahil altı adada tahliye emri verildiğini duyurdu.Bahamalar Devlet Bakanı Leon Lundy, “Hazırlık zamanı sona erdi. Şimdi güvenli barınaklara gitme zamanı” uyarısında bulundu.Bahamalar’da kasırga nedeniyle 2.5 metreyi bulan deniz taşkınları bekleniyor.Çin’den Küba’ya yardım gönderildiKasırga öncesinde Çin, Küba’ya ‘aile seti’ olarak adlandırılan yüzlerce yardım paketi gönderdi. Çin’in Havana Büyükelçisi Hua Şin, sosyal medya hesabından yaptığı paylaşımda, “Çin’in bağışladığı aile kitleri Havana’dan doğu eyaletlerine sevk ediliyor” ifadelerini kullandı.Büyüklüğü Teksas kadarMeteorologlara göre Melissa yalnızca güçlü değil, aynı zamanda devasa boyutlarda. Kasırganın rüzgar alanı batıdan doğuya yaklaşık 1200 kilometreye ulaşıyor. Bu da ABD’nin Teksas eyaleti genişliğine denk geliyor.Kasırga merkezinden 50 kilometreye kadar kasırga gücünde rüzgarlar, 300 kilometreye kadar ise tropik fırtına etkisinde rüzgarlar hissediliyor. Bu da, merkezden oldukça uzaktaki bölgelerde bile tehlikeli dalgalar ve rüzgar hasarı anlamına geliyor.
https://anlatilaninotesi.com.tr/20251028/jamaika-tarihinin-en-guclu-kasirgasi-melissa-karaya-vurmaya-hazirlaniyor-bolge-altyapisi-buna-1100535463.html
küba
jamaika
atlantik
Sputnik Türkiye
feedback.tr@sputniknews.com
+74956456601
MIA „Rossiya Segodnya“
2025
Sputnik Türkiye
feedback.tr@sputniknews.com
+74956456601
MIA „Rossiya Segodnya“
SON HABERLER
tr_TR
Sputnik Türkiye
feedback.tr@sputniknews.com
+74956456601
MIA „Rossiya Segodnya“
https://cdn.img.anlatilaninotesi.com.tr/img/07e9/0a/1d/1100580927_240:0:1680:1080_1920x0_80_0_0_faae7da0d4db9fb1582d5aec1a19c7a9.jpgSputnik Türkiye
feedback.tr@sputniknews.com
+74956456601
MIA „Rossiya Segodnya“
melissa, kasırga, küba, jamaika, abd, teksas büyüklüğünde, kategori 3, ölü sayısı, son durum, sel felaketi, son dakika, son dakika haberler, melissa haberleri, melissa kasırgası, melissa kasırgası haberleri
melissa, kasırga, küba, jamaika, abd, teksas büyüklüğünde, kategori 3, ölü sayısı, son durum, sel felaketi, son dakika, son dakika haberler, melissa haberleri, melissa kasırgası, melissa kasırgası haberleri
Melissa Kasırgası'nda son durum: Kategori 5'e yükseldi, ölü sayısı artıyor
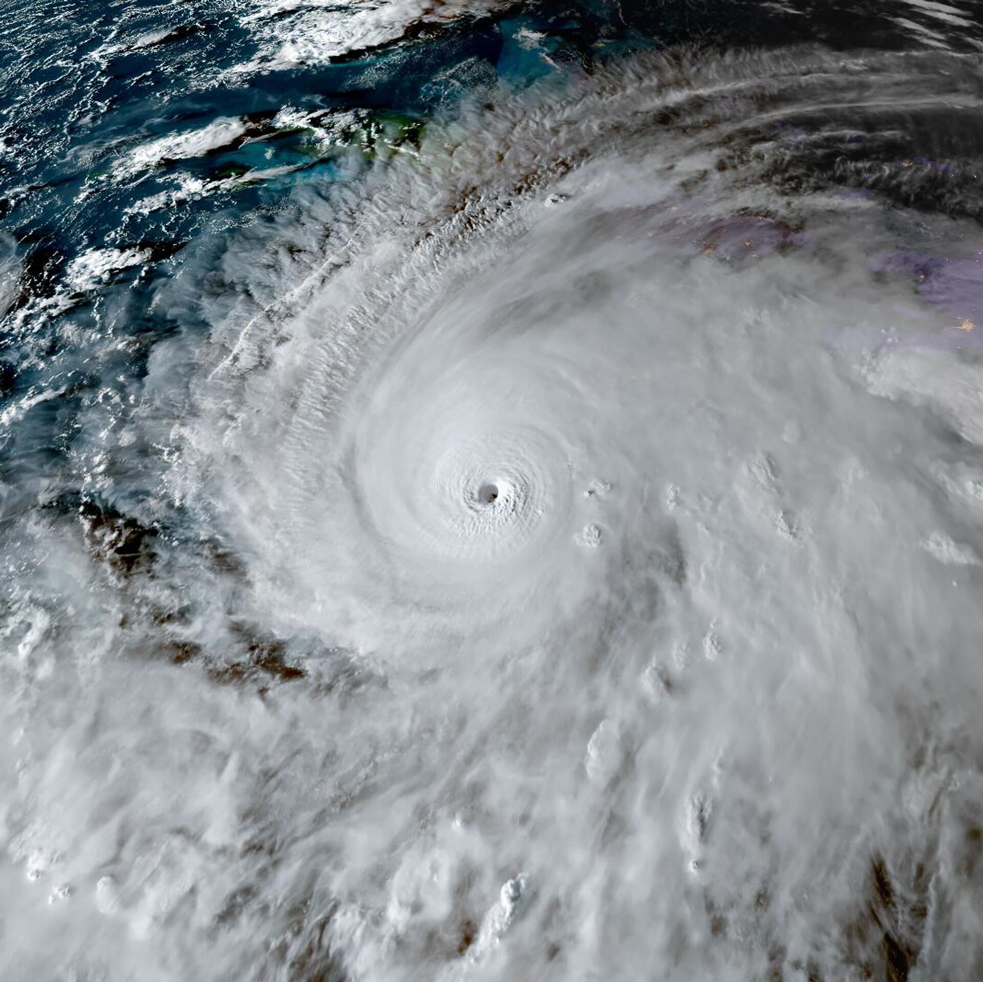
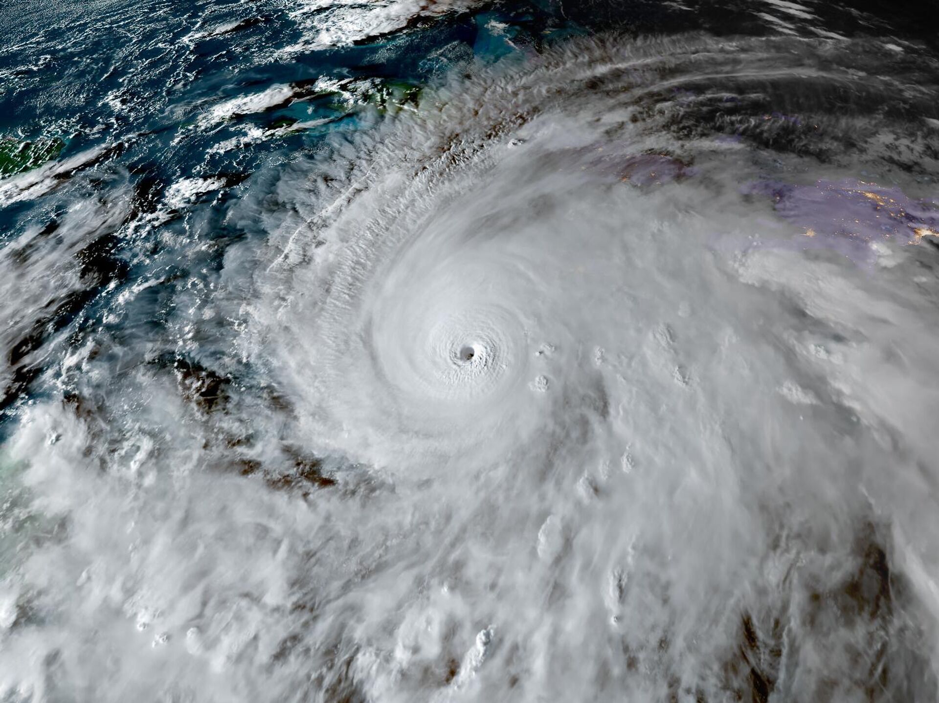
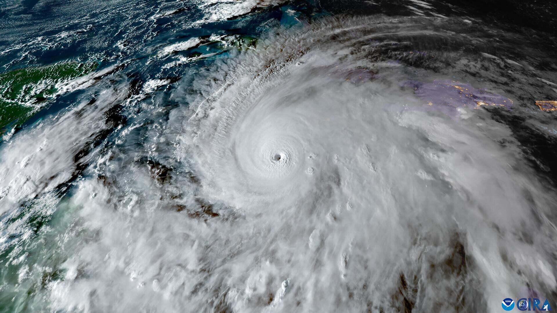
12:29 29.10.2025 (güncellendi: 19:39 29.10.2025) Atlantik Okyanusu’nda son yılların en güçlü fırtınalarından biri olarak kayıtlara geçen Kasırga Melissa, Jamaika’da büyük yıkıma yol açtıktan sonra çarşamba sabahı Küba’ya ulaştı. Kategori 5'e çıkan Melissa sebebiyle ölenlerin sayısı 30'a yaklaştı.
Melissa, Atlantik’te kayıtlara geçen en güçlü kasırgalardan biri olarak Jamaika’yı vurdu, kamu altyapısına büyük zarar verdi ve adanın büyük bölümünü elektriksiz bıraktı. Bazı bölgelere ulaşılamadığı için yıkımın tam boyutu henüz netleşmiş değil.
Yetkililer, Jamaika’yı harap ettikten sonra Küba üzerinde ilerlemeye devam eden Melissa Kasırgası’nın yol açtığı sel ve toprak kaymalarında Haiti’de 10'u çocuk olmak üzere en az 25 kişinin yaşamını yitirdiğini belirtti, Jamaika’da fırtına hazırlıkları sırasında üç kişi, Dominik Cumhuriyeti’nde ise bir kişi hayatını kaybetti.
Hızı saatte 295 kilometreye kadar çıkan ve şiddetinin, en tehlikeli seviye anlamına gelen ve 5. Kategori'ye yükseldiği belirtilen Melissa Kasırgası, Haiti, Jamaika ve Küba’da etkili olmaya devam ediyor.
Kategori 5,
Saffir–Simpson Kasırga Ölçeği’ne göre kasırgaların en yüksek ve en yıkıcı düzeyini ifade ediyor.
Küba’da ise hala etkisini sürdüren şiddetli yağış ve rüzgarlar, geniş çaplı su baskınlarına ve binalarda hasara yol açtı.
Yüz binlerce kişi yerinden olurken, Küba’da şu ana kadar Melissa’ya bağlı herhangi bir ölüm vakası kamuoyuna bildirilmedi.
Küba Devlet Başkanı Miguel Diaz-Canel, kasırganın ülkenin doğu kıyısına ulaşmasından önce 735 binden fazla kişinin güvenli bölgelere tahliye edildiğini açıklamış“Küba için çok zor bir gece olacak ama toparlanacağız” demişti.
Jamaika felaket bölgesi ilan edildi
Melissa, Küba’ya ulaşmadan önce Jamaika’yı vurmuş, ülke genelinde yüzbinlerce kişiyi elektriksiz bırakmıştı. Başbakan Andrew Holness, salı günü yaptığı açıklamada ülkeyi ‘felaket bölgesi’ ilan etti.
Holness, “Hastaneler, evler ve iş yerleri büyük hasar gördü. Kurtarma ve onarım çalışmalarına hemen başlayacağız” dedi.
Yaklaşık 500 bin kişi elektriksiz kalırken, ülke genelinde 15 bine yakın kişi acilen sığınaklara gitti. İnternet bağlantısı da ülke genelinde normalin yalnızca yüzde 30’una kadar düştü.
Yaklaşık 25 bin turistin hala Jamaika’da olduğu bildirildi. ABD Başkanı Donald Trump, Asya turu sırasında yaptığı açıklamada, Washington’un yardım için hazır olduğunu belirterek, “Durumu yakından izliyoruz ve harekete geçmeye hazırız, ancak hasar gerçekten büyük” dedi.
Kasırga Melissa, bu yılın
şimdiye kadarki en güçlü Atlantik fırtınası olarak kayıtlara geçti. ABD Ulusal Kasırga Merkezi’ne göre sistemin önümüzdeki günlerde
Bahamalar üzerinden geçerek kuzeydoğuya, açık denizlere doğru ilerlemesi bekleniyor.
Bahamalar’da tahliyeler başladı
Kasırga şu anda Küba’nın kuzeydoğusundan ilerleyerek Bahamalar’a doğru yöneliyor. Ülkenin Afet Risk Yönetim Otoritesi, Acklins ve Crooked Island dahil altı adada tahliye emri verildiğini duyurdu.
Bahamalar Devlet Bakanı Leon Lundy, “Hazırlık zamanı sona erdi. Şimdi güvenli barınaklara gitme zamanı” uyarısında bulundu.
Bahamalar’da kasırga nedeniyle 2.5 metreyi bulan deniz taşkınları bekleniyor.
Çin’den Küba’ya yardım gönderildi
Kasırga öncesinde Çin, Küba’ya ‘aile seti’ olarak adlandırılan yüzlerce yardım paketi gönderdi. Çin’in Havana Büyükelçisi Hua Şin, sosyal medya hesabından yaptığı paylaşımda, “Çin’in bağışladığı aile kitleri Havana’dan doğu eyaletlerine sevk ediliyor” ifadelerini kullandı.
Meteorologlara göre Melissa yalnızca güçlü değil, aynı zamanda devasa boyutlarda. Kasırganın rüzgar alanı batıdan doğuya yaklaşık 1200 kilometreye ulaşıyor. Bu da ABD’nin Teksas eyaleti genişliğine denk geliyor.
Kasırga merkezinden 50 kilometreye kadar kasırga gücünde rüzgarlar, 300 kilometreye kadar ise tropik fırtına etkisinde rüzgarlar hissediliyor. Bu da, merkezden oldukça uzaktaki bölgelerde bile tehlikeli dalgalar ve rüzgar hasarı anlamına geliyor.