FEMA Başkanı Long düzenlediği basın toplantısında ABD'ye ulaşması beklenen Irma Kasırgası hakkında açıklamalarda bulundu.
Kasırganın Florida eyaletinin bir bölümünde günlerce sürebilecek elektrik kesintilerine yol açabileceğini söyleyen Long, eyaletteki 100 binden fazla insanın sığınaklara gitmek zorunda kalacağını belirtti.
' YA FLORİDA YA DA GÜNEYDOĞU EYALETLERİNİN BAZILARI MAHVOLACAK'
Floridalı yetkililer bölgede yaşayanlara tahliye çağrısı yapmıştı. Miami-Dade'de 100 binden fazla insana tahliye emrinin iletildiği belirtildi.
BBC'ye göre de Florida'nın güneyindeki 500 bin kişiye bölgeden ayrılmaları çağrısı yapıldı.
Window of opportunity to prepare for #Irma is quickly closing. Winds will increase to unsafe levels tomorrow in S FLhttps://t.co/meemB5uHAR pic.twitter.com/NoZLeQ4Yxc
— NWS (@NWS) September 8, 2017
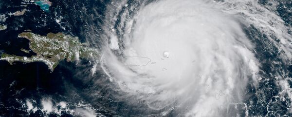
KASIRGANIN ŞİDDET DÜZEYİ 4'E DÜŞÜRÜLDÜ
Karayipler'de 1 milyondan fazla insanı olumsuz etkileyen ve 17 kişinin ölümüne yol açan kasırganın yarın ABD anakarasına ulaşması bekleniyor.
ABD Ulusal Meteoroloji Servisi'nden uzmanlar kasırganın saatteki hızı 270 km'ye ulaşan rüzgarlar getireceğini tahmin ediyor.



